Município recebe área de terra para novo prédio da UBS Marilene

Município recebe área de terra para novo prédio da UBS Marilene

 

Município recebe área de terra para novo prédio da UBS Marilene

 

O Prefeito de Candelária, Paulo Roberto Butzge, recebeu em seu Gabinete na ultima segunda-feira,12,  o Doutor Luiz  Antônio da Silva, que possui terras no Bairro Marilene, junto a Rua Rio Pardo, 08, e colocou a disposição do Município gratuitamente uma área de terra de 1.790,00 m², para a implantação  de uma Unidade Básica de Saúde, que vira substituir a hoje existente, prédio locado da Mitra Diocesana. O Dr. Luiz veio ao gabinete acompanhado do Vereador Telmo René Grunewald. Os recursos para a construção são provenientes do Ministério da Saúde, através de Emenda Parlamentar do Deputado Sergio Moraes,  e  receitas próprias do município, e que possibilitará  um melhor atendimento a população que necessita de atendimento médico, odontológico e ambulatorial.

O Prefeito agradeceu ao Dr. Luiz  Antônio pelo seu gesto de desprendimento  em ceder esta área de terra,  possibilitando assim ao Município a aproveitar  os recursos  do Ministério da Saúde no valor de R$ 408.000,00 (quatrocentos e oito mil reais). Nos próximos dias o Executivo Municipal encaminhará ao Legislativo Municipal Projeto de Lei, que autoriza o doação deste imóvel, para posterior escrituração em nome do Município, e assim viabilizar efetivamente a nova  Unidade Básica de Saúde do Bairro Marilene. A reunião aconteceu no Gabinete do prefeito Paulo Butzge e contou com a participação do Secretário de Planejamento, Bernardo Rizzi, da Procuradoria do Município representada por Tanaela Muller, pela Arquiteta Cássia Froelich, além do vereador Telmo, Dr. Luiz Antônio e prefeito Paulo Butzge.

Conforme informou o secretário de Saúde Paulo Augusto Gomes, que também teve grande parcela de ajuda nesta conquista,   “trabalharemos com a equipe já existente, em um prédio novo, moderno e bem mais amplo,  com capacidade de atender de forma mais qualificada  uma população de até 4.000 usuários por mês.”

A previsão de licitação da obra é para o início do próximo ano.

 
Na foto da esquerda para a direita:
Tanaela Muller, Bernardo Rizzi, Telmo Grunewald, Paulo Butzge, Luiz Antônio e Cássia Froelich
Foto Erni Bender
 
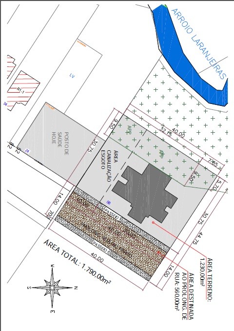
Abaixo a localização do novo Posto do Bairro Marilene
 
Compartilhe: ·

Galeria de Fotos: